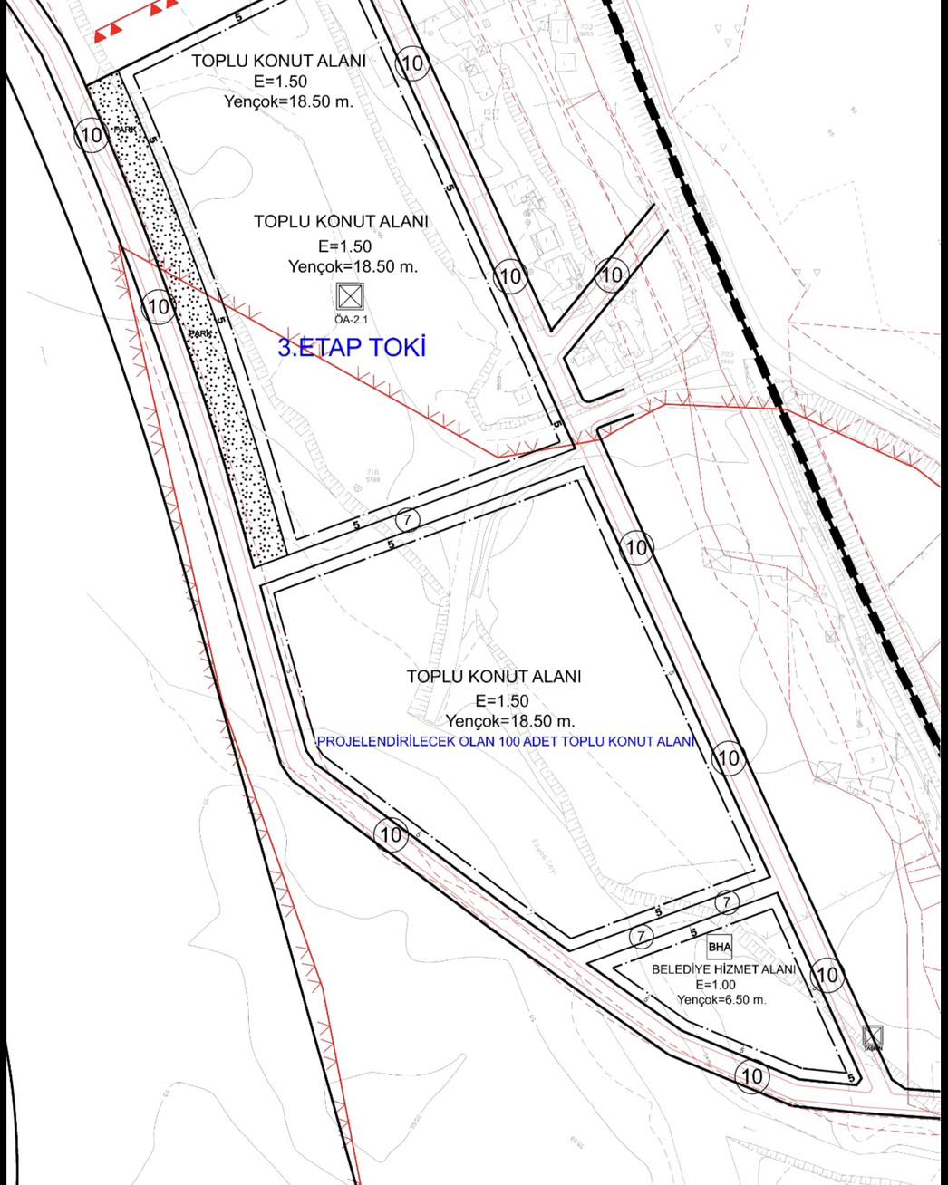
TOKİ’nin 500.000 Sosyal Konut Projesi kapsamında Zonguldak’ın Gökçebey ilçesinde yapılması planlanan 100 konutun yeri netleşti.
Gökçebey Belediyesi, konutların inşa edileceği alanla ilgili imar planı çalışmalarını titizlikle sürdürüyor. Vatandaşların daha modern, güvenli ve yaşanabilir konutlara kavuşması amacıyla yürütülen proje kapsamında belediye, süreci yakından takip ederek gerekli hazırlıkları yapıyor.
Gökçebey Belediye sosyal medya hesabından yapılan paylaşıma göre, 100 adet konut için belirlenen alanın 3. Etap Toki için belirlenen bölgenin hemen yan tarafına yapılacağı öğrenildi.
Paylaşımda geniş ve detaylı krokiye yer verildi.

Kaynak: Haber Merkezi





